Aujourd'hui en Guadeloupe

Irma is coming

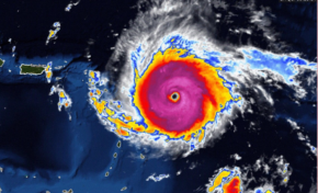
septembre 2nd, 2017 Voici la position d'Irma aujourd'hui. Catégorie 3, rafales à 185 km/h... Dimanche, voici la position estimée Lundi, hum Mardi ! un bond vers le Nord !...

KOB AU TOP COM DAB

août 31st, 2017 30 août, pas de doute. O'Brian a été BRILLANT. Que dire ? Queue dure. Une turgescence qui attise les sens. Comme on dit en #Guadeloupe…an jou an Kevin. Lire la...
Page 13 of 49...1112131415...

En continuant à utiliser le site, vous acceptez l’utilisation des cookies. Plus d’informations

Les paramètres des cookies sur ce site sont définis sur « accepter les cookies » pour vous offrir la meilleure expérience de navigation possible. Si vous continuez à utiliser ce site sans changer vos paramètres de cookies ou si vous cliquez sur "Accepter" ci-dessous, vous consentez à cela.

Fermer