Non classé

Kelly me softly...

janvier 25th, 2017 Après avoir témoigné dans l'affaire du Pénélope Gate, Christine Kelly se sent menacée par une "équipe politique". La journaliste se dit victime de menaces...

Fashionweek Paris Elie Saab

janvier 25th, 2017 Chez Elie Saab, on retrouve l' élégance et la légèreté des robes de stars soigneusement ajustées à la taille. La femme est élégante avec un bandeau dans les...

Fashion week défilé Ziad NAKAD

janvier 25th, 2017 A l'instant, défilé haute couture du célèbre couturier libanais Ziad Nakad. Superbes longues robes de "princesses" dans des tons pastels avec un sublime jeu de...

Fashion week Paris défilé Chanel

janvier 24th, 2017 À Paris pour sa collection haute couture printemps-été 2017, Karl Lagerfeld a décidé de faire défiler la fille de Vanessa Paradis et Johnny Depp en mariée !...

Fashion week Paris défilé Dior

janvier 23rd, 2017 Fashion week de Paris, défilé Dior, un travail d'orfèvre à l'Italienne dans un style extrêmement romantique. C'est dans un décor poétique avec une forêt...

Moman Bèlè au CDST

octobre 6th, 2016 Semaine Nationale des Personnes Agées. La Collectivité Territoriale de Martinique organise, dans le cadre de la Semaine Bleue axée sur la thématique « A tout âge...

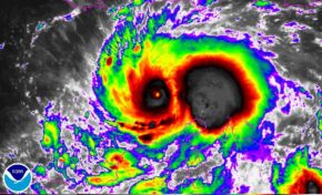
Matthew passe en catégorie 4

octobre 1st, 2016 La dépression qui est passée sur les petites Antilles mardi et mercredi dernier, est devenue Matthew, et depuis samedi soir le plus violent cyclone depuis 2007....

Adieu Métropole...Bonjour Hexagone

septembre 28th, 2016 Les députés français ont adopté en commission hier soir le remplacement du mot "Métropole" par "Hexagone" dans la loi. Le mot "métropole", centre de la...

Nilor...comment va ton âme ?

septembre 27th, 2016 Ambiance "Satan l'habite" en #Martinique le dimanche 25 septembre 2016 lors de la messe inaugurale de l'église de Sainte-Luce. Les francs maçons ont joué de la...

Partage de culture, suite

septembre 25th, 2016 On continue notre campagne de soutien au candidat François Fuyons ... Fillon... Ce phare intellectuel du bas-Poitou, ce Confucius des marais. Donc une "fillonite" à...

Le seul passager noir du Titanic

avril 30th, 2016 Voici une histoire singulière et méconnue: celle d’un ingénieur haïtien, venu faire ses études en France, et qui rentre dans son pays à bord du #Titanic,...

Lemarchand Vs Thuram

décembre 17th, 2015 Demain ouverture du procès en diffamation comme suite de l'affaire qui avait défrayée la chronique en octobre  2013. On se souvient que Mme Lemarchand avait porté...
Page 9 of 10...78910

En continuant à utiliser le site, vous acceptez l’utilisation des cookies. Plus d’informations

Les paramètres des cookies sur ce site sont définis sur « accepter les cookies » pour vous offrir la meilleure expérience de navigation possible. Si vous continuez à utiliser ce site sans changer vos paramètres de cookies ou si vous cliquez sur "Accepter" ci-dessous, vous consentez à cela.

Fermer